fbpx

GEODELA Marko Breščak s.p.

geodetska dela in svetovanje

Geodetski načrt

Geodetski načrt za pripravo projektne dokumentacije za gradnjo

Geodetski načrt je potreben za pripravo projektne dokumentacije za graditev objekta, ki je osnova za gradbeno dovoljenje. Brez izdelanega geodetskega načrta ni mogoče dobiti ustreznih dovoljenj za gradnjo. Načrt mora biti izdelan za območje najmanj 25 m od predvidenega objekta.
Geodetski načrt je sestavljen iz grafičnega prikaza in certifikata geodetskega načrta.

Certifikat geodetskega načrta velja kot potrdilo odgovornega geodeta, da je geodetski načrt izdelan skladno s predpisi in z namenom uporabe geodetskega načrta.

 

nacrt

 

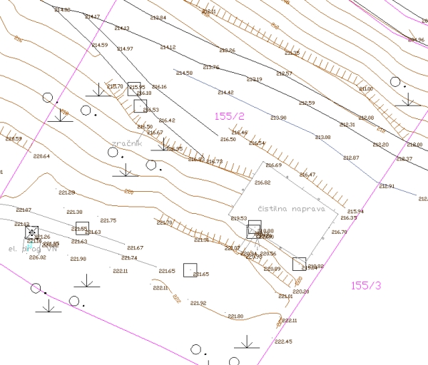
geodetski načrt terena

Geodetski načrt novega stanja zemljišča

Geodetski načrt novozgrajenega objekta je prikaz dejanskega stanja novogradnje. Geodetski posnetek je potreben pri izgradnji večjih objektov in se uporabi pri nadzoru in tehničnem prevzemu.

Za informacije o cenah Geodetskega načrta glej Cenik geodetskih storitev.

Pridružite se nam!

Mnenja strank

Gregor, Gradišče:
Strokovno opravljena storitev, hitro, upoštevali moje želje

 

Aleš, Sežana: Storitev je opravljena hitro in strokovno. Cena je več kot ugodna.